Description
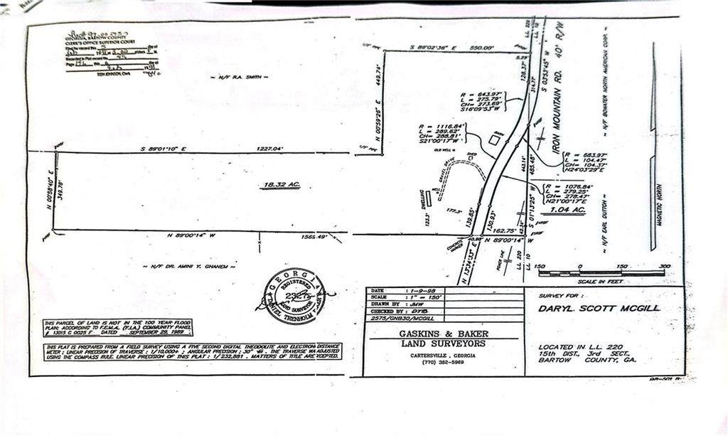
Discover an exceptional opportunity at 49 Iron Mountain Rd, Adairsville, GA, a highly desirable parcel zoned R-1, perfect for residential development. This stunning 18.32-acre property offers ample opportunity without heavy woodland. Builders will love the potential this property offers for creating beautiful new homes in a fast-growing area. With a fence post already in place, it's primed for your next venture, be it a small neighborhood development or a family homestead. Conveniently located near a main road, it provides easy access to local amenities, schools, and downtown Adairsville while maintaining a peaceful setting ideal for a new neighborhood. We've included the plans that the previous developer created, which were never executed, but can give you a great idea of how the project can be designed and developed. For more details on utilities, zoning, and related information, please refer to the private remarks and contact the City of Adairsville directly using the numbers provided. The seller is very motivated to sell. Please call or email with any questions.
-
0BEDS
-
18.32ACRES
-
0BATHS
-
01/2 BATHS
School Information
Description
Discover an exceptional opportunity at 49 Iron Mountain Rd, Adairsville, GA, a highly desirable parcel zoned R-1, perfect for residential development. This stunning 18.32-acre property offers ample opportunity without heavy woodland. Builders will love the potential this property offers for creating beautiful new homes in a fast-growing area. With a fence post already in place, it's primed for your next venture, be it a small neighborhood development or a family homestead. Conveniently located near a main road, it provides easy access to local amenities, schools, and downtown Adairsville while maintaining a peaceful setting ideal for a new neighborhood. We've included the plans that the previous developer created, which were never executed, but can give you a great idea of how the project can be designed and developed. For more details on utilities, zoning, and related information, please refer to the private remarks and contact the City of Adairsville directly using the numbers provided. The seller is very motivated to sell. Please call or email with any questions.
Listings identified with the FMLS IDX logo come from FMLS, are held by brokerage firms other than the owner of this website and the listing brokerage is identified in any listing details. Information is deemed reliable but is not guaranteed.
If you believe any FMLS listing contains material that infringes your copyrighted work, please click here to review our DMCA policy and learn how to submit a takedown request.
© 2025 First Multiple Listing Service, Inc. Data last updated 2025-11-14T18:08:44.46. For issues regarding this website, please contact BoomTown.
